#我听说的#
1419人参与 72536浏览
-
富阳这里新增一所学校,迎来首批学生!
9月8日上午位于富阳区永昌镇的杭州润匠科技技工学校 举行2021学年新生军训汇演暨开学典礼活动 这所由杭州永科教育集团和杭州润龙集团投资兴办的学校经过两年筹建后顺利开学 △学校校门 杭州唯一具有自建标准校园的民办技工学校 杭州润匠科技技工学校是浙江省人力资源与社会保障厅批准设立的全日制技工学校,招生纳入杭州中考招生计划。学校占地65亩,教学行政用房20000平方米。目前是杭州唯一具有自建标准校园的
40393630 2021-09-09 15:429455 1
-
空天地一体化,富阳交警开启电动自行车交通违法抓拍
数字自控平台监管加“空天地”一体化勤务巡查电动自行车上路受到机动车般“管理待遇”△点击观看 背景:电动自行车交通违法让各方饱受困扰 电动自行车驾驶员是一个庞大的交通参与者群体,在交管工作中属于非机动车管理范畴。据统计,截至目前,富阳进行防盗备案登记和上牌的电动自行车约有25万辆,且仍在不断增加。 在日常行驶中,电动自行车驾驶员的违法行为层出不穷,例如骑车闯红灯、逆向行驶、占用机动车道、不按规定佩戴
49890548 2021-11-30 09:355147 0
-
重磅!富阳区义务教育学校课后服务实施办法出台
富阳区义务教育学校课后服务实施办法来了! 9月开始全面实施在校内基本完成书面作业义务教育学校全覆盖!有需求的学生全覆盖! 一、服务范围课后服务主要包括放学后托管服务(小学)、晚自习托管服务(初中)、免费线上学习服务、暑期托管服务等。 二、服务对象一至九年级学生。校内实施托管服务坚持学生和家长自愿原则。有需求的学生可以向学校提出托管申请。 三、服务模式 壹、小学放学后服务模式 小学推行放学后托管服务
49890548 2021-09-06 08:547521 7
-
男朋友太抠门,什么都要AA
小姐妹和她男朋友谈了三个多月,他平时言语上对她还挺关心的,可是一提到花钱就很小气了。可能因为家庭本身不富裕,也是刚出来工作,没有什么积蓄吧!他本人是属于很节省的那种,话费都是十块钱十块钱的充,袜子破了他会自己缝,平时也很少买衣服。他们平时约会都只去免费的地方,像公园(感受大自然的气息,自带野餐垫、扑克、背包装零食吃的和水,我们坐着聊天,打牌什么的)、书店(免费蹭书看还能学习,绝对不会买书的那种)、
50170302 2021-01-24 22:2917320 14
-
富阳首艘!国庆试营业!日游、夜游航线公布
万众期待!富阳第一艘自主打造的高档仿古游船“富春山居号”游船国庆节开启试运营假期7天均有日游和夜游 历时10个月建造 带你游览现代版富春山居图 “五十里春江花月夜,百里富春山居图”,游船的开通让你实现从江上观览两岸山水,感受现代版富春山居图的魅力。 “富春山居号” 游船投资约2500万元、历时10个月建造。整艘游船在设计上充分汲取富春山水意境和人文情怀,古朴精致、简约大方。回顾报道 游船总长39米
49890548 2022-09-30 09:3818423 17
-
26幢!杭州富春湾新城一安置小区即将完工
作为重点民生项目,安置房小区的建设一直备受关注。记者从杭州富春湾集团了解到,春南安置小区将于本月全面完工,目前已进入收尾阶段,目前主要在对道路铺装、绿化修补方面做些调整。下一步将由所在街道及村社安排分房相关工作,让搬迁的百姓早日住进新房。 春南安置小区外立面色彩搭配干净大气,小区中央配备绿化景观带,还设有供居民休憩的凉亭。小区还配有1幢村民文化活动场所(2层)、1幢社区配套服务用房(2层)、2幢沿
49890544 2022-08-15 09:5926739 14
-
定了!富阳这个地方要搬离迁建了!未来将这样建设!
富春街道社区卫生服务中心要搬离迁建了!最新的效果图来了! 富阳这个地方要迁建了提到富春街道的社区卫生服务中心相信很多人第一时间反应都是:不知道是什么?也不知道具体在哪? 其实呀,就是大家日常生活中提到的“防保所”也就是很多宝宝来打预防针、准妈妈们来孕检建卡、从业人员来体检办健康证的地方 2010年12月富春街道社区卫生服务中心在苋浦西路58号组建成立!截止到现在也有十多个年头了! 之前也有人说过希
49890548 2021-11-03 09:0914280 0
-
富阳2021年公共租赁住房申请拟保障家庭公示(第四批)
根据《关于印发富阳市城镇廉租住房保障管理实施细则的通知》(富政办〔2011〕90号)、《富阳区公共租赁住房租赁管理实施细则》(富建设〔2019〕194号)等规定,经审核,符合我区2021年公共租赁住房准入条件拟保障家庭共52户,现将拟保障家庭名单予以公示,广泛接受社会和群众的监督,公示时间为2021年8月28日-9月11日,如有异议,可在公示期间通过来电、来函或来访等形式向区住建局反映。 电话:
41815325 2021-08-29 17:124817 3
-
拆整近6万平方米!富阳这些村集中改造啦!
好消息!春江街道新时代美丽乡村项目,建设设计方案已全部完成,全面进入“拆整”模式预计5月完成,近6万平方米的拆整任务,将打造6个创建村和1个标杆村 (一)10月底完成创建,设计方案亮相 因造纸企业全面腾退、杭州富春湾新城建设等多项因素制约,相较于其他乡镇(街道),春江街道的新时代美丽乡村建设延迟启动近两年,但各行政村的环境整治步伐从未停歇。 按照统一规划,山建、太平、临江、中沙、新建、春江等6个行
49890548 2021-04-29 14:3249094 17
-
为期一个月!10月24日起,富阳这段省道半封闭施工
封道公告 因富阳区“四好农村路”EPC项目建设需要,须对305省道K34+100渌渚段线路封道施工。为确保道路交通安全、有序,根据《中华人民共和国道路交通安全法》第39条之规定,公安机关交通管理部门将在施工期间调整相关交通组织措施。 现将有关事项通告如下:自2022年10月24日至11月24日,对305省道K34+100渌渚段线路实行半封闭施工,中型及以上货车禁止通行,请过往车辆提前绕行。请广大市
43442522 2022-10-20 09:0311681 0
-
彩虹大道快速路迎来新进展!
8月10日凌晨1时,萧山西站铁路顺利完成拨线施工。这标志着彩虹大道(萧西路—工人路)段取得突破性进展,隧道主体结构施工全面铺开。 为顺利完成拨线,300余名作业人员,10余台大型机械设备迅速进入施工现场。经过3.5小时的密集施工,1200米铁路线于凌晨1点40分实现精准入位。该节点顺利完成,为彩虹大道下穿萧山西站立交工程的铁路基坑提供了足够的施工作业面,有力保障了该标段基坑施工的顺利推进。 目前,
43442518 2021-08-11 16:2011276 6
-
拆!杭州市中心这块繁华地方要拆迁了!
昨天,一张写了“拆”字的和平广场会展中心照片在朋友圈刷屏。 这里曾经举办过农博会、婚博会、家具展、动漫展、房展会、人才交流会等,是不少市民朋友们周末打卡,“吃逛淘”的圣地! △ 不少市民特意赶在拆迁前来合影 每日商报 摄 80后的杜先生是杭州本地人。说起和平会展中心他一时感慨万千:当年结婚就在这边的张生记饭店办的酒。“如果要拆迁,真的蛮可惜......” 【大门上锁,墙上喷有红色的“拆”字,和平
49890544 2021-02-25 10:129010 3
-
体制内不发朋友圈,感觉已经是“不成文的纪律”了
这几天和一个在体制内的朋友聊天她说上学的时候,和小姐妹出去玩都会精心拍照,然后发一条朋友圈看看有多少赞,现在和同样的人出去玩,还是会拍照,但几乎再也不发朋友圈了,更不会像以前那样,忘记定位会删了重新发。 因为现在在体制内,有这样一种现象:一般人很少发朋友圈,领导更是几乎不发。即使发,也是发一些官方已经证实的新闻,很少分享自己的生活。 这几乎已经成为一条“不成文的纪律”了。 级别越高的人,发朋友圈越
50128639 2020-12-15 17:2716014 20
-
大家还记得吗?这案子!那时风声鹤唳的富阳
摘自公众号 自全国公安机关云剑-2020专项行动部署开展以来,杭州市公安局富阳区分局始终坚持命案必破、积案必清的信念,在分局党委的领导下,举全局之力,集全警之智,全力以赴开展命案积案攻坚。11月4日晚,随着押解警车驶入富阳区公安分局执法办案管理中心,曾在富阳轰动一时的6.20特大抢劫杀人案的最后一名犯罪嫌疑人田某寿归案。该田某寿是2001年轰动全国的杭州富阳灵桥镇外沙村特大抢劫杀人案的4名犯罪嫌疑
keaiqun1 2020-11-09 16:5218994 20
-
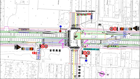
注意!金桥南路体育馆路路口交通组织有调整!
因桂花西路站-秦望广场站连接通道预埋工程施工,富阳区金桥南路体育馆路路口将调整交通组织措施,共分为四个阶段: 第一阶段:封闭金桥南路上南北向的西侧半幅行车道路面(占用路口)。 施工时间:5月4日——5月15日。 第二阶段:同时封闭体育馆路西向东直行机动车道,过往车辆需提前绕行。 施工时间:5月4日——5月15日。 第二阶段绕行路线:体育馆路西向东直行机动车辆请在体育馆路劳动路路口右转提前绕行西环路
49890548 2023-05-05 17:1310596 0
-
新登派出所、交警新登中队搬迁公告
搬迁公告 2023年1月10日,杭州市公安局富阳区分局新登派出所、交警新登中队将正式搬迁至新营房,故2023年1月7日-9日将暂停办理所有户籍业务、窗口交通违法处理和非机动车上牌业务,其他相关警务工作正常办理,给您带来不便,敬请谅解!2023年1月10日起,相关业务均在新地址办理。 新地址:杭州市富阳区新登镇松涛路99号(富阳区新登镇乘庄村党群服务中心对面); 报警电话:110、0571-6325
43442518 2023-01-10 09:2816273 0
-
核酸收费!取消混检!涉及富阳多家医院
12月15日起杭州市二级以上医疗机构核酸采样均采取单人单管不再进行混检收费统一按照医保核定收费标准价格为16元/人次(自费) 富阳区二级以上医疗机构包括——◎ 区第一人民医院◎ 区第二人民医院◎ 区中医院◎ 富阳中医骨伤医院◎ 区妇保院等今天起这些医院核酸采样有调整↓↓↓区一院 区一院院内核酸采样点不再承担常态化核酸检测任务,实行单人单管检测,价格为16元/人次(自费)。 区二院 区二院核酸采样点
43442518 2022-12-16 15:0910303 0
-
48万能买到套牌的劳斯莱斯!!因车主贪便宜……
4月8日,交警大队接支队指令,一辆车牌为浙B的套牌劳斯莱斯在富阳行驶,指挥室通过视频巡查发现该车停放在春华附近。巡逻一中队接到指令后,立即采取行动,前往该车停放点进行检查并找到了车主。 据调查,该车车主为谭某。去年8月,谭某以48万元的价格从广东一个姓蔡的人那边购买了这辆车,用于婚车租赁,购买时双方并没有签订购买合同,对方也没有提供相应的证照,只是给了他一张车辆行驶证的照片。(网络图片) 据悉,
43442518 2021-04-14 14:389047 9
-
富春三小即将搬迁
3月30日(下周二)富春三小即将搬迁进入新校园 新校园改造得如何?是否环保安全?新食堂、新教室、新操场是啥样?来自40个班级的40位家长代表,受校方邀请,探访新校园 △办学理念“向着阳光奔跑”雕刻石 (一)由原郁达夫中学达夫校区改造而成富春三小新校园由原郁达夫中学达夫校区改造而成,占地面积约37亩,相比只有18亩左右的老校园,大了整整一倍。新校园也在达夫路上,距离老校园不到100米。 走进校门,拾
49890548 2021-03-25 11:0110828 3
-
“浙A区域号牌”ETC如何办理?这种行为,将无法通行全国高速
(一)在更换“浙A区域号牌”后,原先使用的ETC要如何处理?在办理ETC中出现的问题该如何解决? 市交通运输局总结了最近关于“浙A区域号牌”常被车主提问的问题,一起来看看答案吧! 01原先号牌已经更换成“浙A区域号牌”可以自行拆卸原号牌ETC设备到“浙A区域号牌”车上使用吗? 答:不行!ETC用户必须遵循“一车一卡一标签”原则,原先号牌需要及时进行注销和解除银行签约绑定,“浙A区域号牌”需要重新签
41815296 2021-03-23 14:464087 2
标签简介
大家都在讨论"我听说的"赶紧来看看吧~



